Send an email with a link to
Lot 1 Forevergreen Estates, North Liberty, IA 52241.
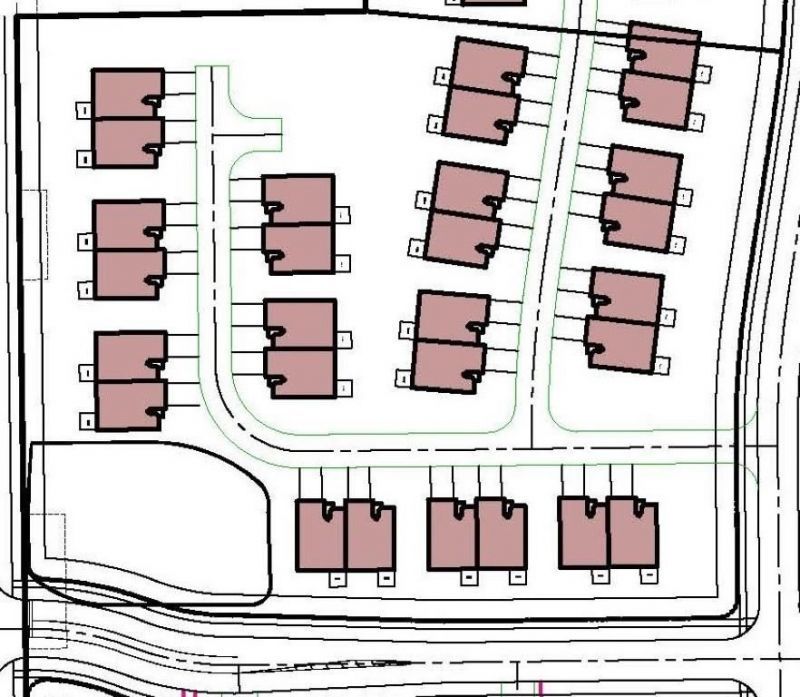
Multi-family lot / land zoned RM-8 in North Liberty!!! The new Forevergreen Estates Subdivision is located on the corner of Kansas Ave and Forevergreen Blvd just off the I-380 / Foevergreen Interchange. Steindler Orthopedic and Mercy Hospital have just announced new locations on the West side of Kansas Ave across the street from this location and the University Hospitals just built and operned their new North Liberty Hospital Campus down the street. This particular property is zoned RM-8 and the pictures show a model for duplex condos but that is just an option. The final concept, style of units, design and number of units will be determined by the Buyer with approval by the City of North Liberty. This parcel has the potential for duplex condos, townhomes, stacked condos or a combination of any. The current list price is based on 28 duplex condo units but the final price will be based on the final number of units and configuration.
MLS ID: 202600870
For Details, Contact
Contact an agent to learn more about
Lot 1 Forevergreen Estates, North Liberty, IA 52241.

Call or Click to get Pre-Approved!
563-441-1862
toll free 866-441-1862
Customize Your Rate
| Loan Type | FHA 30 Year Fixed | VA 30 year fixed | 30 yr Jumbo |
| Purchase Price | $1,330,000 | $1,330,000 | $1,330,000 |
| Down Payment | $46,550 | $0 | $266,000 |
| Monthly Mortgage Amount | $7,935 | $8,255 | $6,465 |
| Taxes | $1851 | $1851 | $1851 |
| Insurance | $100 | $100 | $100 |
| HOA/Dues/Fees | $0 | $0 | $0 |
| Monthly Mortage Insurance | $798 | $0 | $0 |
| Monthly Estimated Total | $10,972 | $10,494 | $8,704 |
As of the 2010 census, the population of North Liberty was 13,374 people. From the years of 2000-2010, North Liberty has been the second fastest growing town in Iowa. Continue browsing this page to see all real estate options and houses for sale in North Liberty, IA. North Liberty is located outside of Iowa City. View homes for sale in the Iowa City area for more real estate options.
Are you interested in a real estate career?
Nearest Ruhl&Ruhl Office
1075 Highway 1 West
Iowa City, IA 52246
Phone Number: (319) 339-8111